
A vendre, Terrain, 1.459 m²
Saint Pierre (97410)
DESCRIPTIF DE L'ANNONCE
iad France - Mathieu Hoareau vous propose: Deux Terrains constructibles à Monts-les-Bas (haut du Chemin Lebon)
Opportunité à ne pas manquer !
Dans un secteur calme, recherché et parfaitement situé, découvrez ce terrain d’environ 350 m², plat, en zone UF, idéal pour votre future construction.
6 m à l’égout du toit ou au sommet de l’acrotère et à 11 m au faîtage.
50% emprise au sol
✔ Points forts :
Terrain prêt à bâtir (réseaux électricité, eau et télécom à proximité)
Environnement agréable à 380 m d’altitude
À seulement 10 minutes du CHU
Proche des commodités : commerces, écoles, transports
Accès facile, quartier résidentiel prisé
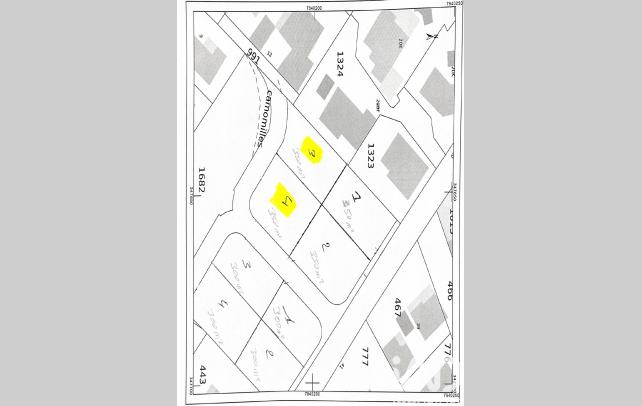
⚠ Les terrains indiqués en jaune sur le plan sont déjà vendus.
Idéal pour un premier projet, une résidence principale ou un investissement.
Honoraires d'agence à la charge du vendeur.
Bien non soumis au DPE. Les informations sur les risques auxquels ce bien est exposé, y compris l'obligation légale de débroussaillement, sont disponibles sur le site Géorisques : http://www.georisques.gouv.fr.
La présente annonce immobilière a été rédigée sous la responsabilité éditoriale de M Mathieu Hoareau mandataire indépendant en immobilier (sans détention de fonds), agent commercial de la SAS I@D France immatriculé au RSAC de SAINT PIERRE DE LA REUNION sous le numéro 949522072, titulaire de la carte de démarchage immobilier pour le compte de la société I@D France SAS.
Prix : 168 000 €
Référence Annonce 1906676
Consulter nos honoraires agences
Annonce redigée et publiée par un agent Mandataire
Caractéristiques
| Parue le | 10/12/2025 |
| Version DPE | DPE_v01-2011 |
SITUER LE BIEN
CONTACTER L'AGENCE
ANNONCES SIMILAIRES
Merci de renseigner votre e-mail pour que nous puissions vous renvoyer votre mot de passe.